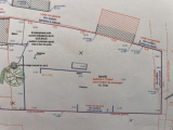
EXCLUSIVITÉ ET SEULEMENT DANS L'AGENCE SPiTi DE CHAUMES EN RETZ - A VENDRE - CHAUMES EN RETZ - Côté ARTHON EN RETZ - Quartier recherché - Avenue Arthus Princé - TERRAIN CONSTRUCTIBLE - 1.195 M² dont 218 m² de passage soit Terrain exposé plein sud de 977 m² de constructibilité - UNIQUE - en plein centre bourg - Deuxième rideau - exposé plein sud - Enorme potentiel de construction : Construction de la maison où vous voulez sur ce terrain - Pisicinable - R1 (étage) possible - Non viabilisé - Desservi par tous les réseaux - Plan de projet de division : fait - DP avec croquis d'intention d'aménagement : fait - Pas besoin de CU - Juste déposé un Permis de construire à la mairie - Libre de constructeur - A VENDRE TERRAIN CONSTRUCTIBLE au prix de : 155.000 € HAI - Charge Acquéreurs - Soit 145.000 € prix net vendeur - Soit 10.000 € TTC d'honoraires - Contactez Christophe HUTTEAU au : 06.19.34.39.26

